Decoding Hurricane Imagery: A Guide To Satellite Data

V.Sislam 90 views
Decoding Hurricane Imagery: A Guide To Satellite Data

Decoding Hurricane Imagery: A Guide to Satellite Data

Hey guys! Ever wondered how meteorologists track those massive storms and predict where they’re headed? A huge part of the answer lies in hurricane center satellite imagery . It’s like having a super-powered eye in the sky, constantly watching over our planet and giving us a heads-up about what’s brewing in the atmosphere. In this article, we’ll dive deep into the world of hurricane satellite imagery, exploring how it works, what kind of info it provides, and why it’s so crucial for keeping us safe. Let’s get started, shall we?

Understanding Hurricane Center Satellite Imagery: The Basics

Okay, so what exactly is hurricane center satellite imagery ? Imagine powerful cameras and sensors orbiting Earth, constantly snapping pictures and gathering data about our weather. These aren’t your average snapshots; they’re packed with information that helps scientists understand everything from cloud formations and temperature to wind speeds and rainfall. There are various types of satellites used, each with its own specific job. Some satellites are geostationary, meaning they stay in the same spot relative to the Earth, constantly monitoring a specific region. Others are polar-orbiting, which means they circle the Earth from pole to pole, providing a global view. These satellites carry a bunch of different instruments to collect all sorts of data. For instance, there are visual and infrared sensors that capture images, microwave sensors that peer through clouds to see the structure of a storm, and radar systems that measure rainfall. All this data is transmitted back to Earth, where meteorologists at places like the National Hurricane Center analyze it to track storms and make predictions.

So, how does it all work? Well, the satellites use different instruments to ‘see’ the hurricanes in various ways. Visual imagery shows us what we’d see with our own eyes – the swirling clouds and the storm’s overall shape. Infrared imagery measures the temperature of the cloud tops, with colder temperatures indicating taller, more intense thunderstorms. Microwave imagery can penetrate through clouds and show the storm’s internal structure, like the location of the eyewall (the most intense part of the hurricane). Radar data, either from satellites or ground-based stations, helps estimate rainfall rates and locate heavy precipitation. Meteorologists use all these different types of data, along with other information like wind measurements and sea surface temperatures, to build a complete picture of the hurricane and its potential impacts. It’s a complex process, but the end result is a much better understanding of these powerful storms and a better ability to predict their path and intensity. This helps them issue warnings and provide the public with critical information.

The Importance of Satellite Data

Why is all this satellite data so important? Think about it this way: without these tools, we’d be flying blind when it comes to hurricanes. Before satellites, we relied on things like aircraft reconnaissance (flying planes into the storm), surface observations (weather stations on land and ships at sea), and radar. While these are still useful, they have limitations. Aircraft can’t be everywhere all the time, surface observations are sparse over the ocean, and radar coverage is limited by the curvature of the Earth. Satellites, on the other hand, provide a continuous, comprehensive view of the entire storm, even over the vast oceans where hurricanes form and intensify. This allows meteorologists to spot hurricanes early, track their movements, and understand how they’re changing over time. Satellite data also helps with forecasting. By feeding the data into sophisticated computer models, meteorologists can predict the storm’s future path, intensity, and potential impacts with much greater accuracy. This allows them to issue timely warnings, giving people time to prepare and evacuate if necessary. In short, satellite data is absolutely essential for hurricane preparedness, helping to save lives and protect property.

Types of Satellite Imagery Used for Hurricane Tracking

Alright, let’s break down some of the main types of satellite imagery that hurricane centers use to monitor these massive storms. We’ve already touched on a few of them, but let’s take a closer look at the key players:

Visible Imagery

First up, we have visible imagery . This is probably the easiest type of imagery to understand because it’s essentially what we would see with our own eyes if we were looking down on the storm from space. Visible imagery uses reflected sunlight to create images of the clouds, and because it relies on sunlight, it’s only available during the daytime. The images show us the shape and structure of the storm, including the spiral bands of clouds, the eye of the hurricane, and the overall size and extent of the storm. Meteorologists use visible imagery to identify the location of the storm, monitor its size, and assess the organization of the cloud patterns. Changes in the cloud patterns can provide clues about whether the storm is strengthening or weakening. For example, if the eye of the hurricane is becoming more clear and distinct, it’s often a sign that the storm is intensifying. However, visible imagery has its limitations; it can’t be used at night and can be obscured by thick cloud cover.

Infrared Imagery

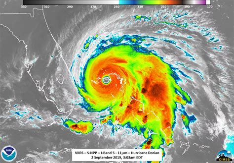
Next, we have infrared imagery . Unlike visible imagery, infrared imagery doesn’t rely on sunlight. Instead, it measures the temperature of the cloud tops. Colder temperatures generally indicate higher cloud tops, which mean more intense thunderstorms and a stronger hurricane. Warmer temperatures indicate lower cloud tops or areas where there are no clouds. This allows meteorologists to identify the most active and dangerous parts of the storm, even at night. In infrared images, different temperatures are often represented by different colors. For example, colder cloud tops might appear in shades of white or red, while warmer areas might appear in shades of blue or green. By analyzing the temperature patterns, meteorologists can determine the location of the eyewall, the intensity of the thunderstorms, and whether the storm is organizing or weakening.

Water Vapor Imagery

Moving on to water vapor imagery , this type of imagery detects the amount of water vapor in the atmosphere. High concentrations of water vapor are often associated with the development and intensification of storms, because water vapor is the fuel that powers hurricanes. Water vapor imagery can help meteorologists identify areas where storms are likely to develop or intensify, even before they become visible in other types of imagery. It’s also useful for tracking the movement of dry air, which can weaken a hurricane by disrupting the storm’s structure. In water vapor images, different amounts of water vapor are represented by different colors. For example, areas with high concentrations of water vapor might appear in shades of white or yellow, while areas with low concentrations might appear in shades of blue or black.

Microwave Imagery

Finally, we have microwave imagery . This is where things get a bit more technical. Microwave sensors can penetrate through clouds and measure the microwave energy emitted by the Earth and the atmosphere. Because different surfaces and atmospheric components emit microwave energy differently, microwave imagery can provide valuable information about the storm’s structure, including the location of the eyewall, the intensity of the rainfall, and the presence of rainbands. Microwave imagery is particularly useful because it can