Hurricane Melissa's Landfall: A Comprehensive Guide

V.Sislam 131 views
Hurricane Melissa's Landfall: A Comprehensive Guide

Hurricane Melissa’s Landfall: A Comprehensive Guide

Hey guys! Let’s dive into the powerful event that was Hurricane Melissa’s Landfall . It’s super important to understand these events, from the initial impact to the long-term effects. This article is your go-to guide, covering everything you need to know about what happened, why it mattered, and what we can learn from it. We’ll break down the meteorology behind the storm, the immediate consequences, and the recovery efforts. So, grab a coffee (or whatever you’re into), and let’s get started on this deep dive into Hurricane Melissa’s Landfall!

Understanding the Basics: What is Hurricane Melissa?

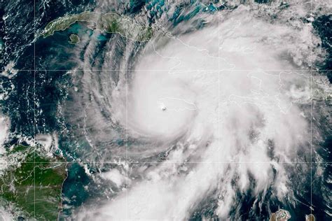
First things first, let’s establish some ground rules. What exactly was Hurricane Melissa ? Well, it wasn’t just some ordinary storm; it was a powerful weather system that packed a punch! Let’s get into the nitty-gritty. Understanding how hurricanes form and develop is crucial to understanding the impact of their landfall. Hurricane Melissa originated from a tropical disturbance that quickly intensified due to warm ocean waters and favorable atmospheric conditions. These factors fueled the storm, allowing it to grow in size and strength. As the storm moved across the ocean, it continued to gather energy, developing into a hurricane. The Saffir-Simpson Hurricane Wind Scale classifies hurricanes based on their sustained wind speeds, and this tells us about their potential for damage. This scale is vital for emergency management and for helping people prepare. Melissa was categorized based on its wind speeds, which determined its threat level. The higher the category, the more severe the potential impact. Think about this as the difference between a minor inconvenience and a major disaster. The eye of a hurricane, that calm center, is surrounded by the eyewall, where the strongest winds and heaviest rainfall occur. It’s truly incredible how these weather systems work. The path of a hurricane is influenced by various factors, including the Earth’s rotation and the surrounding weather patterns. Predicting the exact path is super important, as it helps determine the areas most likely to be affected by the landfall. Early tracking and forecasts are very important. The National Hurricane Center (NHC) plays a key role in tracking and predicting hurricanes, using advanced technology to monitor storms and provide timely information to the public. These forecasts include the expected path, intensity, and potential impacts. Knowing these basics is the foundation for understanding the event! So, that’s the basic rundown: How these hurricanes form and the scale they use. Let’s move on!

The Meteorological Story: Formation and Development

Okay, let’s dig a bit deeper into the meteorological side of things. How did Hurricane Melissa come to be? Understanding the formation and development is like understanding the origins of a superhero. It helps you appreciate the full impact. Hurricane Melissa began as a tropical disturbance over the warm ocean waters. This means that, due to the high sea surface temperatures, there was enough energy to kickstart the system. That energy is basically the fuel for the hurricane. This initial disturbance needed a few key ingredients to develop. Firstly, warm ocean temperatures above 80 degrees Fahrenheit are critical. Secondly, a pre-existing area of low pressure is needed to get the air rotating. Thirdly, you need atmospheric conditions that support the upward movement of air. These conditions include low vertical wind shear, which means consistent wind speeds at different altitudes. As the tropical disturbance moved across the ocean, it encountered these favorable conditions, starting the development process. The warm, moist air began to rise, creating thunderstorms. This process released latent heat, which is the energy that fuels the storm. This is a crucial step! As the thunderstorms intensified, they began to organize and rotate around a central point, starting the formation of the hurricane. The development continued as the storm grew in size. As the storm intensified, it formed a well-defined eye and eyewall. The eye, which is the calmest part of the hurricane, is surrounded by the eyewall, which is where the strongest winds and the heaviest rainfall are located. The pressure inside the hurricane continued to drop. The lower the pressure, the more intense the storm. Melissa’s development also followed a path determined by various factors, including the Earth’s rotation and the surrounding weather patterns. Predicting the exact path of the storm is important for giving warnings. The National Hurricane Center (NHC) tracked the storm, providing warnings and forecasts. The NHC uses advanced technology, like satellite imagery and computer models, to monitor the storm and predict its path. This information is vital for helping people prepare for the storm. Understanding the science behind the storm makes the impact of the landfall even more significant!

Impact on Land: What Happened During the Landfall?

Now, let’s zoom in on what happened when Hurricane Melissa made landfall. The impact on land is where the rubber meets the road. It’s where the meteorological science becomes a very real experience for people. When Hurricane Melissa made landfall, it brought a devastating combination of high winds, heavy rainfall, and storm surge. The high winds caused significant damage to buildings and infrastructure. Think about roofs being torn off, trees uprooted, and power lines downed. These winds also created a risk of flying debris, which can be super dangerous. The heavy rainfall led to widespread flooding. The amount of rain that fell, combined with the terrain, determined the extent of the flooding. Roads became impassable, homes were flooded, and infrastructure was damaged. The storm surge was another major threat. Storm surge is the abnormal rise of water generated by the storm, and it can cause massive coastal flooding. The height of the surge can vary depending on the intensity of the storm and the shape of the coastline. Coastal communities faced massive damage from both the storm surge and the high winds. The impact of the hurricane also extended beyond the immediate area of landfall. Surrounding areas experienced heavy rainfall, strong winds, and flooding, which disrupted daily life. The storm cut off power to thousands, causing major disruptions. Many people lost power, which affected everything from communications to access to essential services. The impact of the hurricane led to the disruption of essential services, including transportation, communication, and healthcare. Roads were closed, cell phone service was disrupted, and hospitals struggled to operate. The economic impact of Hurricane Melissa was substantial. There was damage to infrastructure, loss of property, and disruption of businesses. Recovery efforts required large-scale resources. The aftermath involved significant damage. It’s hard to imagine, but the impact of Hurricane Melissa ’s landfall was really substantial. The damage was extensive, but the way communities came together to support each other was even more amazing.

Immediate Aftermath: Assessing Damage and Initial Response

Okay, guys, let’s talk about the immediate aftermath of Hurricane Melissa’s Landfall . It’s the period right after the storm hits. It’s a critical time where the immediate response is everything! The immediate aftermath involved assessing the damage and initiating the initial response efforts. Immediately after landfall, the focus shifts to assessing the extent of the damage. Teams were sent out to evaluate the damage to buildings, infrastructure, and the environment. This assessment provides a clear picture of the storm’s impact. The initial response involved search and rescue operations. Rescue teams were deployed to locate and assist people who were stranded or injured. It’s hard to imagine the dedication and bravery required. These operations involved everything from clearing debris to providing emergency medical care. The provision of emergency medical care was super critical. Many people had injuries because of the storm. Hospitals were overloaded. Medical teams worked around the clock to provide essential care. Providing essential services, such as water, food, and shelter, was also vital. The aftermath of a hurricane often leaves people without access to these basic necessities. Emergency services provided support. The establishment of shelters was an important part of the immediate response. People who lost their homes needed safe places to stay. Shelters provided essential services, such as food, water, and medical care. The restoration of critical infrastructure was another major priority. Restoring power, repairing roads, and restoring communications systems were essential for getting things back to normal. The initial response also included efforts to begin cleaning up the debris and clearing roads. The goal was to restore access to impacted areas and to prevent further hazards. Local, state, and federal agencies worked together to coordinate the response efforts. This collaborative approach was super important for ensuring an effective response. The immediate aftermath is a time of incredible challenges, but also of incredible resilience. The immediate response after the landfall sets the stage for the recovery. So many people in the community will remember the immediate aftermath forever.

Long-Term Recovery: Rebuilding and Lessons Learned

Alright, let’s shift gears and talk about the long-term recovery efforts after Hurricane Melissa ’s Landfall. This phase is all about rebuilding, learning from the experience, and preparing for the future. The long-term recovery involves a comprehensive effort to rebuild the affected communities. This includes rebuilding homes, businesses, and infrastructure. Recovery can be a long process, taking months or even years. The recovery also focuses on supporting the economic recovery of the affected areas. There is support for businesses, job creation programs, and economic development initiatives. It’s all about helping communities get back on their feet. Community engagement is a key aspect of the long-term recovery process. Involving residents in the planning and decision-making processes helps ensure that the recovery efforts meet the needs of the community. Disaster preparedness and mitigation are vital components of the long-term recovery. Implementing measures to reduce the impact of future storms is super important. This could involve everything from strengthening building codes to improving infrastructure resilience. Studying the impacts of Hurricane Melissa provides valuable lessons for future disaster preparedness. Analyzing what worked well and what could be improved helps to create more effective responses. Reviewing the effectiveness of emergency plans, and identifying gaps in resources or coordination, provides opportunities to improve future responses. One of the lessons is the importance of investing in infrastructure to make it more resistant to severe weather. This includes things like elevating homes, reinforcing buildings, and upgrading drainage systems. Community resilience is also super important. Strengthening the social fabric of communities and building their capacity to cope with future disasters. The recovery after Hurricane Melissa provides an opportunity to build back better and to create more resilient communities. This ensures that when the next storm comes, the community will be better prepared.

Conclusion: A Look Back and Forward

So, guys, let’s wrap up our deep dive into Hurricane Melissa’s Landfall . We have covered the essentials. We’ve gone from the meteorology to the impact and recovery. The main takeaway is that hurricanes are powerful events that require understanding. Hurricane Melissa’s Landfall was a big lesson about the need for effective preparedness. This includes early warning systems, evacuation plans, and community resilience. The storm also emphasized the importance of effective disaster response and recovery efforts. These involve coordination, rapid assessment, and access to essential resources. The human impact of the storm cannot be overstated. From the physical and emotional toll to the economic consequences. The people that were most affected. Looking forward, the challenges of climate change mean that we can expect more severe weather events. It’s vital that we continue to invest in mitigation efforts and strengthen our preparedness. By learning from events like Hurricane Melissa’s Landfall , we can become more resilient and protect our communities from the impacts of future storms. Thanks for joining me on this journey. Stay safe, and stay informed, guys! Until next time!