NOAA Hurricane Tracker: Your Guide To INHC Gov Updates

V.Sislam 97 views
NOAA Hurricane Tracker: Your Guide To INHC Gov Updates

NOAA Hurricane Tracker: Your Guide to INHC Gov Updates

Hey guys! Let’s dive into everything you need to know about tracking hurricanes using resources from the inhc.noaa.gov hurricane tracker. This is super important, especially if you live in an area prone to these powerful storms. Understanding how to use the tools and data provided by NOAA (National Oceanic and Atmospheric Administration) can seriously help you stay informed and make timely decisions to protect yourself and your loved ones.

Understanding the Basics of Hurricane Tracking

Hurricane tracking involves monitoring the path, intensity, and potential impact of a hurricane as it moves across the ocean and potentially makes landfall. The inhc.noaa.gov website is a key resource for this, offering a wealth of information that helps meteorologists and the public stay informed. The process starts with gathering data from various sources, including satellites, aircraft, buoys, and radar. Satellites provide a broad view of the storm’s structure and movement, while aircraft, often NOAA’s Hurricane Hunters, fly directly into the storm to collect detailed data on wind speed, pressure, and temperature. Buoys and radar provide additional surface and atmospheric data, helping to create a comprehensive picture of the hurricane.

All this collected data is then fed into sophisticated computer models that predict the hurricane’s future path and intensity. These models use complex algorithms to simulate atmospheric conditions and forecast how the storm will behave. However, it’s important to remember that these are just predictions, and the actual path and intensity of a hurricane can change. That’s why it’s crucial to stay updated with the latest forecasts and advisories from the inhc.noaa.gov hurricane tracker.

The forecasts typically include a range of possible paths, often visualized as a cone of uncertainty. This cone represents the probable area within which the storm’s center is expected to remain. The size of the cone reflects the historical accuracy of the forecast models; a wider cone indicates greater uncertainty. Along with the predicted path, the forecasts also provide information on the storm’s expected intensity, including wind speeds and potential rainfall. This information is vital for assessing the potential impact on coastal areas and preparing for necessary precautions.

Okay, so let’s talk about how to actually use the inhc.noaa.gov website. When you land on the page, you’ll find a ton of useful stuff. The interface is designed to be user-friendly, but let’s break it down so you know exactly where to find the most important information.

First up, you’ll see active storm tracking maps. These maps are interactive and show the current position of any active hurricanes or tropical storms. You can zoom in to see specific areas and get a closer look at the storm’s projected path. The maps also display the cone of uncertainty, giving you an idea of the range of possible tracks the storm could take. Take some time to familiarize yourself with the map features, like the ability to overlay different data layers, such as wind speed probabilities and rainfall forecasts. This will help you get a more complete picture of the storm’s potential impact.

Next, look for the latest advisories and forecast discussions. These are updated regularly and provide detailed information about the storm’s current status and expected behavior. The advisories include information on the storm’s location, intensity, movement, and any warnings or watches that have been issued for coastal areas. The forecast discussions offer insights into the meteorologists’ reasoning behind the forecasts, explaining the factors influencing the storm’s track and intensity. These discussions can be a bit technical, but they provide valuable context for understanding the forecasts.

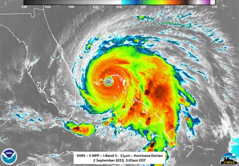
Don’t miss the data and products section. Here, you’ll find a wealth of additional information, including model forecasts, satellite imagery, and radar data. You can use this data to track the storm’s progress and assess its potential impact. For example, satellite images can show the size and structure of the storm, while radar data can reveal the intensity of rainfall. Model forecasts provide different scenarios for the storm’s future path and intensity, allowing you to see the range of possibilities. This section is a treasure trove for anyone who wants to dive deeper into the science behind hurricane tracking.

Key Features of the Hurricane Tracker

The inhc.noaa.gov hurricane tracker isn’t just a website; it’s a powerful tool loaded with features designed to keep you informed and safe. Here’s a rundown of some of the most important ones:

Real-time Updates: The site offers real-time updates on active storms, ensuring you have the latest information as it becomes available. This is crucial because hurricanes can change rapidly, and staying updated can make a big difference in your preparedness efforts. The updates include the storm’s current location, intensity, movement, and any watches or warnings that have been issued. You can also sign up for email alerts or follow NOAA on social media to receive timely notifications.

Interactive Maps: The interactive maps allow you to explore the storm’s projected path, wind speeds, and potential impact zones. These maps are highly customizable, allowing you to overlay different data layers and zoom in to specific areas of interest. You can also use the maps to assess the potential impact on your community and plan accordingly. The ability to visualize the storm’s path and intensity in this way is a powerful tool for understanding the risks.

Forecast Models: Access to various forecast models helps you understand the range of possible scenarios. These models use different algorithms and data inputs to predict the storm’s future path and intensity. By comparing the different models, you can get a sense of the uncertainty in the forecasts and make more informed decisions about your preparedness efforts. The website provides explanations of the different models and their strengths and weaknesses, helping you to interpret the results.

Data and Imagery: The site provides access to a wealth of data and imagery, including satellite images, radar data, and wind speed probabilities. This data can help you track the storm’s progress and assess its potential impact. For example, satellite images can show the size and structure of the storm, while radar data can reveal the intensity of rainfall. Wind speed probabilities can help you understand the likelihood of different wind speeds in your area. This data is invaluable for anyone who wants to dive deeper into the science behind hurricane tracking.

How to Prepare for a Hurricane

Okay, now that you know how to use the inhc.noaa.gov hurricane tracker, let’s talk about what to do with that information. Being prepared for a hurricane is more than just knowing it’s coming; it’s about taking specific steps to protect yourself, your family, and your property.

Create an emergency plan: This should include evacuation routes, meeting points, and communication strategies. Discuss the plan with your family and make sure everyone knows what to do in case of a hurricane. Practice the plan regularly to ensure everyone is comfortable with it. The emergency plan should also include considerations for pets and individuals with special needs.

Assemble a disaster kit: Include essentials like water, non-perishable food, a first-aid kit, medications, flashlights, and a battery-powered radio. Store the kit in an easily accessible location and check it regularly to ensure the contents are fresh. The kit should also include personal hygiene items, such as soap, toothpaste, and toilet paper. Don’t forget to include copies of important documents, such as insurance policies and identification.

Secure your home: This means reinforcing windows and doors, clearing your yard of loose objects, and trimming trees and shrubs. Consider installing hurricane shutters or plywood covers for windows. Bring in any outdoor furniture, decorations, and equipment. Secure any loose items that could become projectiles in high winds. Clean out gutters and downspouts to prevent water damage. If you live in a mobile home, take extra precautions to secure it to the ground.

Stay informed: Continuously monitor the inhc.noaa.gov hurricane tracker and local news for updates and advisories. Pay attention to any watches or warnings issued for your area and follow the instructions of local authorities. Be prepared to evacuate if necessary. Don’t rely on social media for official information; always refer to trusted sources like NOAA and local emergency management agencies.

The Importance of Staying Updated

I can’t stress this enough: staying updated with the latest information from the inhc.noaa.gov hurricane tracker is absolutely crucial. Hurricanes are unpredictable, and conditions can change rapidly. What might seem like a manageable situation can quickly turn dangerous. Regular updates ensure that you have the most accurate and timely information to make informed decisions.

Forecast Accuracy: Hurricane forecasts are constantly improving, but they’re not perfect. Models are refined with each new storm, incorporating new data and insights. The latest forecasts are always the most accurate, reflecting the most up-to-date understanding of the storm’s behavior. Staying updated allows you to take advantage of these improvements.

Changing Conditions: A hurricane’s path and intensity can change quickly due to various factors, such as atmospheric conditions and ocean temperatures. What might have been predicted yesterday may no longer be accurate today. Staying updated allows you to track these changes and adjust your preparedness efforts accordingly.

Official Warnings: Watches and warnings are issued based on the latest information and forecasts. These alerts provide critical information about the potential impact of the storm on your area. Staying updated ensures that you receive these alerts in a timely manner and can take appropriate action.

Conclusion

So there you have it, guys! Using the inhc.noaa.gov hurricane tracker is a smart way to stay informed and prepared during hurricane season. Remember to check the site regularly, understand the key features, and take proactive steps to protect yourself and your community. Stay safe out there!